Jason Emer, MD
Dr. Jason Emer, West Hollywood, CA, USA
Conflict of interest:
Dr. Emer has been a consultant for Regen Lab and Eclipse.
Abstract
Platelet-rich plasma (PRP) is an autologous serum containing high concentrations of platelets and growth factors. PRP continues to evolve as an important treatment modality with many applications in dermatology, particularly in the areas of hair restoration, skin rejuvenation, acne scars, dermal augmentation, and striae distensae. Furthermore, combining PRP with laser therapies, microneedling, dermal fillers, and autologous fat grafting produces synergistic effects, leading to improved aesthetic results. Future studies should standardize PRP treatment protocols for specific indications. PRP holds considerable promise in dermatology with therapeutic applications continuing to expand.
Key Words:
acne scars, aesthetic, androgenic alopecia, autologous fat grafting, cosmetic, dermal fillers, dermatology, facial rejuvenation, fractional laser resurfacing, hair restoration, microneedling, platelet rich plasma, PRP, rhytids
Introduction
Platelet-rich plasma (PRP) is an ever-expanding treatment modality that continues to demonstrate considerable promise in the field of dermatology. PRP has long been used in the medical fields of cardiac surgery, oral surgery, orthopedics, and facial plastic surgery, and it continues to develop as a versatile therapy in dermatology. PRP is an autologous serum containing high concentrations of platelets and growth factors.1 Alpha granules within the platelets are responsible for promoting stem cell regeneration and soft tissue remodeling.2 Many fundamental growth factors are contained within the PRP alpha granules, such as platelet-derived growth factors (aa, bb, ab), vascular endothelial growth factor, epithelial growth factor, transforming growth factor beta, and insulin-like growth factor.3 Mitogenesis and differentiation of monocytes, fibroblasts, stem cells, keratinocytes, and endothelial cells occur as a result of PRP alpha granule growth factors.2 These growth factors are also known to induce cell proliferation, angiogenesis, and chemotaxis, as well as contain serotonin, dopamine, histamine, adenosine, and calcium, which increase membrane permeability.2-4

Click here to enlarge table.
The use of PRP results in improved cosmetic dermatologic outcomes through angiogenesis, neocollagenesis, and adipogenesis.2 Applications for hair restoration and skin rejuvenation remain the most highly-supported indications for PRP in aesthetic dermatology (Table 1). Moreover, the use of PRP when combined with other treatment modalities, such dermal fillers, lasers, and other devices demonstrates significant improvements in skin appearance, texture, and tone. There is also emerging potential for the use of PRP with augmented fat injections to enhance fat survival (Figure 1). Although few clinical trials have been performed on the numerous above-mentioned therapeutic options, physicians note enhanced results with treatments combined with PRP versus solo treatment. PRP shows promising uses in the field of dermatology, and more studies are needed to test its validity alone or in combinations for enhancing outcomes.


Harvesting Platelet-Rich Plasma
There are many commercially available PRP systems and kits, and protocols vary according to brand name and treatment indication (Table 2). Traditionally accepted preparations involve initial venipuncture to obtain 10 to 22 mL of whole blood, which is combined with an anticoagulant agent. Centrifugation then separates the whole blood sample into three layers: red blood cells (RBCs), platelet-poor plasma (PPP), and the of-interest PRP layer. Subsequent centrifugations isolate and harvest the PRP layer, while discarding the RBCs and PPP. The now concentrated PRP pellet may be treated with calcium chloride or thrombin to activate the platelets (many harvesting systems do not require activation), releasing alpha granules and growth factors. For the most common dermatological uses, activation is not required, as a more viscous substance (once activated) is better suited for wound healing, post-surgical healing, and orthopedic uses. Activation of growth factors occurs within 10 minutes, with nearly 100% activation occurring within 1 hour.5 Some cosmeceutical brands have started to create “customized” skin care products that allow patients’ PRP to be added to a base formulation to complete a bespoke growth factor anti-aging skin care product. However, it is not yet known for how long the activated growth factors remain viable. It is thought that changes in pH and temperature may affect the viability of PRP within a few hours after collection. Current US Food and Drug Administration (FDA) guidelines also indicate that platelets should not be used beyond 5 days after collection, due to bacterial contamination during venipuncture. Nevertheless, patient demand for such autologous customized skin care products remains high.
Commercially Available PRP Harvesting Systems
Eclipse PRP® (Eclipse)
Platelet Concentration Above Baseline: 1.8 – 4x
Regulatory Status: FDA Cleared 510(k)
Magellan® (Isto Biologics)
Platelet Concentration Above Baseline: Up to 14x
Regulatory Status: FDA Cleared 510(k)
PurePRP® (EmCyte)
Platelet Concentration Above Baseline: 4 – 7x
Regulatory Status: FDA Cleared 510(k)
RegenKit® (Regen Lab)
Platelet Concentration Above Baseline: 1.6x
Regulatory Status: FDA Cleared 510(k)
Selphyl® PRFM (UBS Aesthetics)
Platelet Concentration Above Baseline: Less than 2x
Regulatory Status: FDA Cleared 510(k)
Table 2: Commercially available platelet-rich plasma harvesting systems commonly used in dermatology.
Platelet-Rich Plasma Subtype Families
Platelet concentrations vary per harvest protocol; a platelet count of 1 million/mL is widely accepted as the necessary PRP platelet concentration for therapeutic efficacy.6 Moreover, PRP contains plasma at concentrations 2 to 8 times greater than unaltered whole blood.2 PRP preparations have been classified into four subtypes: pure platelet-rich plasma (P-PRP), leukocyte platelet-rich plasma (L-PRP), pure platelet-rich fibrin matrix (P-PRFM), and Leukocyte and platelet-rich fibrin matrix (L-PRFM). Aesthetic dermatology indications predominantly use the pure PRP preparation with minimal leukocyte collection.3 The P-PRFM preparation has a lower platelet concentration and includes fibrin. The fibrin matrix created in P-PRFM binds and traps growth factors, releasing them more slowly over several days. This preparation may be used for fat grafting procedures, as it allows for sustained, prolonged release of growth factors within the grafted tissues.7
Hair Restoration
PRP has demonstrated significant improvements in hair growth when treating androgenic alopecia (AGA) (Figure 2). PRP growth factors promote hair regrowth by stimulating stem cell differentiation of hair follicles, inducing and prolonging the proliferative anagen phase of hair follicles, as well as activating anti-apoptotic pathways and promoting angiogenesis to increase perifollicular vascularization and the survival of dermal papilla fibroblasts.2,8-10


A wide array of studies indicates that PRP is a promising treatment for thinning hair.2 Both male and female pattern hair loss, as well as alopecia areata, can be improved with PRP. Injections of PRP may be combined with progesterone, dalteparin microparticles, or CD34+ cells. PRP administered with progesterone naturally inhibits 5-alpha reductase, the enzyme that converts testosterone to dihydrotestosterone (DHT). DHT damages hair follicles and is culpable in genetic hair loss. Progesterone inhibits 5-alpha reductase and thus DHT, which allows hair growth to recover. PRP with dalteparin induced significant increases in hair diameter and proliferation of collagen fibers and fibroblasts, along with thickened epithelium and hair follicles due to increased angiogenesis.11 Using CD34+ cells with PRP showed significant improvement in hair thickness and overall presentation.12
While some studies reveal minimal improvement in hair restoration, it is hypothesized that inadequate treatment protocols have been used. Studies using an insufficient number of treatments lacked substantial improvements.2 Multiple continued treatments with PRP is necessary for significant aesthetic improvement of increased hair density. It is thought that three injections per year is the minimum frequency in order to observe any clinically beneficial result. In clinical practice, most physicians commence with a series of monthly injections until improvement is seen, then continuing with maintenance therapies every 2 to 3 months indefinitely. More research is needed nevertheless to determine proper frequency, dosing, and maintenance. Furthermore, combining PRP injections with other hair restoration treatments, such as finasteride (male patients), minoxidil, low-level light therapy, and spironolactone (female patients), may enhance the overall efficacy. PRP injections may also improve the outcome of hair transplantation and may soon be part of the pre-treatment and post-treatment maintenance protocols. In clinical practice, the author (JE) has found substantial improvement with the use of ACell® (naturally-occurring urinary bladder matrix epithelial basement membrane; MicroMatrix®) and/or human exosomes (placental mesenchymal stem cell and amniotic fluid derived; Kimera Labs, Inc.) combined with PRP in patients with less than substantial improvement with PRP injections alone. Combined with hair transplantation, injectable regenerative therapies have shown improved outcomes in the author’s experience.
Skin Rejuvenation
Several reports demonstrate improvements in traumatic scars and acne scars with PRP treatment. Increases in collagen density and dermal elastic fibers are notable benefits when using PRP in aesthetic dermatology. When PRP is used in combination with other therapies, such as laser treatments, microneedling, and hyaluronic acid fillers, further improvements in skin appearance are achieved (Figure 3). Autologous fat grafting combined with PRP to enhance long-term fat survival has preliminarily shown positive results. Furthermore, cosmetic improvements in striae distensae have been noted when combining radiofrequency, laser, and ultrasound therapies with PRP.

Acne Scars & Traumatic Scars
Multiple studies indicate significant improvement in appearance of acne scars, as well as traumatic scars, when using PRP13,14 (Figure 4). Cutaneous injuries may result in scar tissue, presenting aesthetic and functional issues. Optical coherence tomography revealed improved acne scar depth when PRP was used with fractional laser therapy, compared to laser alone.3
A decrease in erythema and edema is observed when treating acne scars with PRP. Improved skin elasticity and increased collagen and fibroblasts are also noted when treating scars.15

Combination Therapies: Lasers & Microneedling
The use of PRP in conjunction with laser therapies and microneedling is increasingly popular in aesthetic dermatology. Fractional laser resurfacing and microneedling treatments create small holes in the skin, which act to enhance uptake and delivery of PRP.2 Combining PRP with laser therapies and microneedling procedures improves wound healing and shortens recovery times, as well as reduces erythema and melanin index of treated areas.14,16,20 Transepidermal water loss (TEWL) and inflammatory hyperpigmentation are also found to be significantly lower when combining PRP with device treatments. Patients treated with PRP after CO2 or erbium fractional resurfacing have improved skin elasticity, increased fibroblasts, and notably thicker collagen bundles when compared to laser treated sites without added PRP.20 Furthermore, there is anecdotal evidence of improved healing times with PRP combined with laser therapy, as well as earlier granulation, decreased erythema, and improved outcomes.
Dermal Augmentation
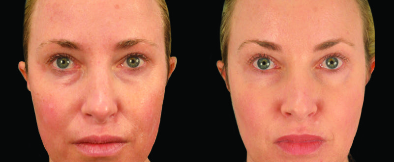
Combining PRP with hyaluronic acid-based fillers has been popular and widespread in cosmetic dermatology for several years. The “Vampire Facelift” was coined after combining PRP and dermal fillers; this technique has become well-known via social media. The numerous growth factors in PRP are thought to rejuvenate the skin, improving texture and smoothness, while also decreasing rhytids.22,23 Hyaluronic acid fillers or other dermal augmentation agents serve as a scaffold to which PRP can bind and enhance skin rejuvenation, as well as enhance soft tissue augmentation2 (Figure 5). Lasting cosmetic improvements are seen when treating nasolabial folds, horizontal neck bands, skin homogeneity and tonicity, and facial rhytids with dermal fillers combined with PRP. Studies have also indicated significant improvements in rhytids and skin tone in the infraorbital region.24

Augmented Fat Injections
Combining PRP with autologous fat grafting is thought to bolster survival of the injected fat. Autologous fat injections have gained popularity for facial rejuvenation and dermal augmentation, as the fat grafts are deemed safe and free from potentially transmissible blood-borne pathogens due to the autologous origin of the fat. Pure PRP preparations with a fibrin matrix (P-PRFM) binds and traps growth factors contained within PRP, releasing them more slowly, ensuring prolonged survival of injected fat.7 Reports have indicated considerable potential for the use of PRP with augmented fat injections, while some investigations indicate no significant improvement was observed. Patients with HIV-associated facial fat atrophy treated with PRP fat grafting did not experience a significant difference in cosmetic appearance when compared to fat injections alone.17 However, results from other studies indicate PRP enhances volume retention of injected fat, maintains volume overtime, and reduces revision rates.7,18,19 In the author’s opinion (JE) there is a substantial improvement in fat viability and retention with the use of PRP in a high enough ratio of PRP to fat; although that “ratio” is not defined based on the current studies in the literature and in practice at least 4-8:1 (fat to PRP) is utilized for a noticeably improved long-term outcome.
Striae Distensae
Continuous stretching of the skin often leads to atrophic dermal scars, known as striae distensae. Reports indicate beneficial cosmetic outcomes when combining intradermal radiofrequency and ultrasound devices with PRP.21,25 Ultrasound therapies often follow radiofrequency treatments, as ultrasound assists in transepidermal penetration of PRP. Abdominal biopsies posttreatment have indicated increases in collagen density and elastic fibers, and the majority of patients report good or very good improvements in cosmetic appearance of their striae distensae.21
Conclusion
PRP continues to evolve as a consequential therapeutic tool in dermatology. Numerous growth factors contained within PRP promote neocollagenesis, angiogenesis, and overall proliferation of stem cells and soft tissue remodeling. PRP is easily harvested from patients’ own whole blood using numerous commercially available systems, making it a safe, in-office procedure. Top evidence-based dermatologic indications for PRP include hair restoration and skin rejuvenation, as well as improvements in acne scars. Moreover, combining PRP with other treatment modalities, such as laser therapies, microneedling, dermal fillers, and autologous fat injections has demonstrated synergistic effects, enhancing overall cosmetic outcomes. The dermatologic community stresses that more studies are needed to further standardize and define PRP protocols beyond anecdotal experience for specific indications.
Acknowledgement
The author gratefully acknowledges the editorial support from Bradford Ferrick in preparing this manuscript.
References
- Kang RS, Lee MK, Seth R, et al. Platelet-rich plasma in cosmetic surgery. Int J
Otorhinolaryngol Clin. 2013;5(01):24-28. - Sand JP, Nabili V, Kochhar A, et al. Platelet-rich plasma for the aesthetic surgeon.
Facial Plast Surg. 2017 Aug;33(4):437-43. - Leo MS, Kumar AS, Kirit R, et al. Systematic review of the use of platelet-rich
plasma for aesthetic dermatology. J Cosmet Dermatol. 2015 Dec;14(4):315-23. - Foster TE, Puskas BL, Mandelbaum BR, et al. Platelet-rich plasma: from basic
science to clinical applications. Am J Sports Med. 2009 Nov;37(11):2259-72. - Marx RE. Platelet-rich plasma (PRP): What is PRP and what is not PRP? Implant
Dent. 2001;10(4):225-8. - Dhurat R, Sukesh M. Principles and methods of preparation of platelet-rich
plasma: a review and author’s perspective. J Cutan Aesthet Surg. 2014 Oct-Dec;
7(4):189-97. - Sclafani AP. Safety, efficancy, and utility of platelet-rich fibrin matrix in facial
plastic surgery. Arch Facial Plast Surg. 2011 Jul-Aug;13(4):247-51. - Gupta AK, Carviel J. A mechanistic model of platelet-rich plasma treatment for
androgenetic alopecia. Dermatol Surg. 2016 Dec;42(12):1335-39. - Cervelli V, Garcovich S, Bielli A, et al. The effect of autologous activated
platelet-rich plasma (AA-PRP) injection on pattern hair loss: clinical and
histomorphometric evaluation. BioMed Res Int. 2014 May;2014:760709. - Gkini MA, Kouskoukis AE, Tripsianis G, et al. Study of platelet-rich plasma
inejctions in the treatment on androgenetic alopecia through an one-year
period. J Cutan Aesthet Surg. 2014 Oct-Dec;7(4):213-9. - Takikawa M, Nakamura S, Nakamura S, et al. Enhanced effect of plateletrich
plasma containing a new carrier on hair growth. Dermatol Surg. 2011
Dec;37(12):1721-9. - Kang JS, Cheng Z, Choi MJ, et al. The effect of CD34+ cell-containing autologous
platelet-rich plasma injection on pattern hair loss: a preliminary study. J Eur
Acad Dermatol Venerol. 2014 Jan;28(1):72-9. - Zhu JT, Xuan M, Zhang YN, et al. The efficacy of autologous platelet-rich plasma
combined with erbium fractional laser therapy for facial acne scars or acne. Mol
Med Rep. 2013 Jul;8(1):233-7. - Lee JW, Kim BJ, Kim MN, et al. The efficacy of autologous platelet rich plasma
combined with ablative carbon dioxide fractional resurfacing for acne scars: a
simultaneous split-face trial. Dermatol Surg. 2011 Jul;37(7):931-8. - Shin MK, Lee JH, Lee SJ, et al. Platelet-rich plasma combined with fractional
laser therapy for skin rejuvenation. Dermatol Surg. 2012 Apr;38(4):623-30. - Gawdat HI, Hegazy RA, Fawzy MM, et al. Autologous platelet-rich plasma: topical
versus intradermal after fractional ablative carbon dioxide laser treatment of
atrophic acne scars. Dermatol Surg. 2014 Feb;40(2):152-61. - Fontdevila J, Guisantes E, Martinez E, et al. Double-blind clinical trial to compare
autologous fat grafts versus autologous fat grafts with PDGF: no effect of PDGF.
Plast Reconstr Surg. 2014 Aug;134(2):219e-230e. - Cervelli V, Gentile P, Scioli MG, et al. Application of platelet-rich plasma in
plastic surgery: clinical and in vitro evaluation. Tissue Eng Part C Methods. 2009
Dec;15(4):625-34. - Azzena B, Mazzoleni F, Abatangelo G, et al. Autologous platelet-rich plasma as
an adipocyte in vivo delivery system: case report. Aesthetic Plast Surg. 2008
Jan;32(1):155-8. - Na JI, Choi JW, Choi HR, et al. Rapid healing and reduced erythema after ablative
fractional carbon dioxide laser resurfacing combined with the application of
autologous platelet-rich plasma. Dermatol Surg. 2011 Apr;37(4):463-8. - Suh DH, Lee SJ, Lee JH, et al. Treatment of striae distensae combined
enhanced penetration platelet-rich plasma and ultrasound plasma fractional
radiofrequency. J Cosmet Laser Ther. 2012 Dec;14(6)272-6. - Fitzpatrick RE, Rostan EF. Reversal of photodamage with topical growth factors:
a pilot study. J Cosmet Laser Ther. 2003 Apr;5(1):25-34. - Atkin DH, Trookman NS, Rizer RL, et al. Combination of physiologically
balanced growth factors with antioxidants for reversal of facial photodamage.
J Cosmet Laser Ther. 2010 Feb;12(1):14-20. - Kang BK, Shin MK, Lee JH, et al. Effects of platelet-rich plasma on wrinkles and
skin tone in Asian lower eyelid skin: preliminary results from a prospective,
randomised, split-face trial. Eur J Dermatol. 2014 Jan-Feb;24(1):100-1. - Kim IS, Park KY, Kim BJ, et al. Efficacy of intradermal radiofrequency combined
with autologous platelet-rich plasma in striae distensae: a pilot study. Int J
Dermatol. 2012 Oct;51(10):1253-8.












